Nautilus
Новости со всего света
16:38 1 ноября 2025
Иерусалим 28 Тель-Авив 26 Хайфа 25
$ 3.249 £ 4.266 € 3.755 ₽ 0.04 ₴ 0.078
Nautilus
Новости со всего света
16:38 1 ноября 2025
Иерусалим 28 Тель-Авив 26 Хайфа 25

Главные новости

В это время

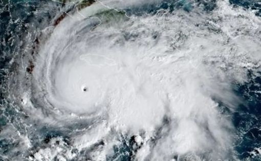
Мелисса рассеивается, оставляя после себя разрушения и не менее 50 погибших

«Мелисса», один из самых мощных штормов, когда-либо обрушивавшихся на Карибские острова, начал рассеиваться в пятницу (31 октября), посеяв разрушения на большей части Ямайки, отрезав населенные пункты на Кубе, затопив Гаити и унеся с собой по меньшей мере 50 жизней.

01.11.2025 12:00 Mig News

"Мелисса", один из самых мощных штормов, когда-либо обрушивавшихся на Карибские острова, начал рассеиваться в пятницу (31 октября), посеяв разрушения на большей части Ямайки, отрезав населенные пункты на Кубе, затопив Гаити и унеся с собой по меньшей мере 50 жизней.

"Мелисса" стала самым мощным штормом, когда-либо…

Читать дальше

Машина врезалась в столб в поселке Земер, погиб мужчина, еще трое травмированы

31.10.2025 NewsRu
В службу скорой помощи «Маген Давид Адом» поступило сообщение о ДТП в арабском населенном пункте Земер, где автомобиль врезался в столб.

Выдает себя за жертву резни: жителей Тель-Авива предупредили о мошеннике

01.11.2025 Cursor Info
Жители Тель-Авива стали жертвой мошенника, который выдавал себя за выжившего после теракта 7 октября.

Ближний Восток

01.11.2025 NewsRu
Ливанские источники: БПЛА ЦАХАЛа нанес удар по цели в районе Ан-Накуры
Ливанские источники сообщают, что утром 1 ноября БПЛА ЦАХАЛа нанес удар по цели в районе Ан-Накуры, на юго-западе Ливана, недалеко от израильской границы.

Политика

01.11.2025 Mig News
Украина потребовала санкций против «Росатома» из-за ударов по подстанциям…
МАГАТЭ сообщало, что на фоне ударов РФ электростанции на Южноукраинской и Хмельницкой АЭС потеряли доступ к одной из внешних линий электропередач. В свою очередь, Ривненская АЭС уменьшила мощность 2…

Аналитика

…Далее: везде
Тьма с Востока Андрей Ланьков
Некоторое количество северокорейских пилотов находились в составе сирийских ВВС и во время Арабо-Израильской войны 1973 года. В ходе войны 1973 года, которая часто именуется в западной литературе «Войной Судного дня», северокорейские лётчики присутствовали не только в сирийской, но и в египетской…

Площадка

Наконечник копья
Facebook Михаил Спивак
Ладно, дебилы в студенческих кампусах не понимают и верят, что эти деньги «на борьбу с голодом», но люди в правительствах прекрасно знали и знают, куда и на что идут их деньги. Они сознательно финансировали инфраструктуру террора. Левое глобалистское движение – вот та гидра, которая вырастила,…

Ревью

Уже приплыли
ИсраГео Виктор Шендерович
Не чувствуя опасности, либеральная идеология тем временем обросла всем, что мы знаем про любую правящую идеологию: нахрапом, демагогией, презрением к праву, администрированием, табуированием тем. Как раз в районе «культуры отмены» у меня, бывшего советского человека, и зажглась в мозгу красная…

Мнение

Раз и навсегда: фашизм – это не правое движение
Kontinent USA Роберта Коул
По мере того как Гитлер укреплял власть, социальное планирование всё глубже внедрялось в общество. Когда центральная группа начала диктовать экономические и социальные решения, следующим шагом стало подавление инакомыслия – через страх и запутывание. Это быстро привело к созданию тоталитарного…

Мировая пресса

Министр, «Майбах» и экономика Израиля
Nautilus Экономика и финансы
Иногда нам рассказывают о громких «экзитах» — вроде продажи WIZ за 43 миллиарда долларов — и гордо отмечают, что государство получило 25% налога. И это прекрасно! Вот только денег, утекших за границу из-за дурацкой налоговой политики, было минимум в пятьдесят раз больше. На эти суммы можно было бы…

Медицина и здоровье

01.11.2025 Mig News
Прогноз магнитных бурь на ноябрь-2025: даты и советы для…
Магнитные бури в ноябре 2025 года могут повлиять на давление, сон и самочувствие. Опубликован прогноз по датам и рекомендациям для метеочувствительных.

Медицина и здоровье

01.11.2025 Mig News
Прогноз магнитных бурь на ноябрь-2025: даты и советы для…
Магнитные бури в ноябре 2025 года могут повлиять на давление, сон и самочувствие. Опубликован прогноз по датам и рекомендациям для метеочувствительных.

Медицина и здоровье

01.11.2025 NewsRu
Совместные положительные эмоции с партнером полезны для здоровья
Совместное переживание положительных эмоций снижает уровень стрессового гормона кортизола, даже у пар, которые не полностью удовлетворены своими отношениями.

Из газет и журналов

01.11.2025 NewsRu
Умер французский актер Чеки Карио, сыгравший в «Медведе» и «Никите»
31 октября стало известно, что в возрасте 72 лет умер известный французский актер Чеки Карио. О смерти актера сообщили его жена и дети, пишет Deadline.
Created by: