Nautilus
Новости со всего света
21:12 29 октября 2025
Иерусалим 24 Тель-Авив 26 Хайфа 25
$ 3.242 £ 4.288 € 3.773 ₽ 0.041 ₴ 0.077
Nautilus
Новости со всего света
21:12 29 октября 2025
Иерусалим 24 Тель-Авив 26 Хайфа 25

Главные новости

В это время

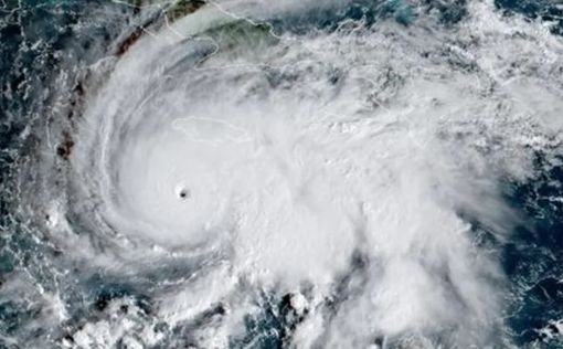
Ураган Мелисса обрушился на Кубу через несколько часов после опустошения Ямайки

Ураган Мелисса обрушился на южное побережье восточной Кубы в среду, 29 октября спустя несколько часов после того, как вызвал разрушения на соседней Ямайке, став самым сильным циклоном за всю историю наблюдений, обрушившимся на это островное государство Карибского бассейна.

29.10.2025 17:46 Mig News

Ураган Мелисса обрушился на южное побережье восточной Кубы в среду, 29 октября спустя несколько часов после того, как вызвал разрушения на соседней Ямайке, став самым сильным циклоном за всю историю наблюдений, обрушившимся на это островное государство Карибского бассейна.

В последнем отчете Национального центра США по…

Читать дальше

В региональном совете Мате-Йегуда из-за протеста «харедим» в четверг не будут работать школы

29.10.2025 NewsRu
Региональный совет Мате-Йегуда сообщил, что в четверг, 30 октября, в связи с проведением ультраортодоксальной общиной массовой акции протеста не будут работать учебные заведения на территории совета.

Ураган Мелисса обрушился на Кубу через несколько часов после опустошения Ямайки

29.10.2025 Mig News
Ураган Мелисса обрушился на южное побережье восточной Кубы в среду, 29 октября спустя несколько часов после того, как вызвал разрушения на соседней Ямайке, став самым сильным циклоном за всю историю…

Ближний Восток

29.10.2025 NewsRu
Глава правительства Катара обвинил ХАМАС в нарушении перемирия в Газе и…
Премьер-министр и министр иностранных дел Катара шейх Мухаммад бин Абд ар-Рахман аль Тани, выступая в Совете по международным делам США, обвинил ХАМАС в нарушении режима прекращения огня в секторе…

Политика

29.10.2025 Mig News
Россия ожидает что Литва не будет применять провокации по вопросу…
Россия ожидает, что литовские власти не предпримут «провокационных» шагов в вопросе доступа к Калининграду, своему балтийскому анклаву, заявило Министерство иностранных дел.

Мнение

Как шантаж террористов становится дипломатией
Эхо FM Александр Подрабинек
Это операция по спасению ни в чем не повинных людей, а не решение геополитического конфликта. Недопустимо, чтобы вопросы создания палестинского государства решались с помощью преступлений против мирного населения Израиля, а мир принимал это как должное.

Ревью

Кто стоит за ограблением Лувра?
Haqqin Дмитрий Рой
Это рынок, живущий по своим законам. Его продукт — не искусство, а право на тайное владение. Его валюта — власть и влияние. Его игроки — те, для кого музейные залы стали всего лишь витринами уязвимости. Пока мир восхищается репродукциями, оригиналы живут своей второй, тайной жизнью. Ограбление…

Аналитика

Катар всемирного масштаба
Гордиев узел Ближнего Востока Ксения Светлова
В США у Катара 31 зарегистрированный лоббист по закону FARA, из них 22 базируются в Вашингтоне — это самый высокий показатель среди всех крупных лоббирующих стран. С 2016 года Катар потратил почти 250 млн долларов на 88 лоббистских и PR-фирм, проведя 627 личных политических встреч в период…

Мировая пресса

Флаговые войны докатились до Нидерландов
Spectator Аналитика и прогнозы
Некоторые утверждают, будто нидерландский флаг «присвоен» крайне правыми и используется на антиэмигрантских митингах. Это чепуха. Флаг принадлежит всем. И, по правде говоря, те самые либеральные демократы, что когда-то пытались водрузить в парламенте флаг ЕС, теперь с гордостью укутываются в…

Площадка

Конец движения Каплан
Facebook Моше Коэн Элия
Если левое крыло хочет выжить — ему необходимо перезапустить себя и отмежеваться от этого безумия. Ему следует извергнуть из своих рядов капланизм. Ведь пятно 7 октября никогда не смоется. Клеймо позора останется на лбах тех безответственных людей, которые призывали распустить армию и довели нас до…

Бизнес и финансы

29.10.2025 Mig News
Nvidia первой в мире достигла оценки в 5 триллионов долларов
Nvidia в среду, 29 октября, стала первой компанией в мире, которая достигла рыночной стоимости в $5 трлн. Три с половиной месяца назад она же стала первой в мире с капитализацией $4 трлн, опередив…

Бизнес и финансы

29.10.2025 Mig News
Nvidia первой в мире достигла оценки в 5 триллионов долларов
Nvidia в среду, 29 октября, стала первой компанией в мире, которая достигла рыночной стоимости в $5 трлн. Три с половиной месяца назад она же стала первой в мире с капитализацией $4 трлн, опередив…

Медицина и здоровье

29.10.2025 Mig News
Имплантат без батарей поможет врачам следить за сращением позвонков
Исследователи из Университета Питтсбурга создали инновационный имплантат, который генерирует энергию самостоятельно и передаёт данные о заживлении позвоночника без использования батарей и…

Медицина и здоровье

29.10.2025 Mig News
Имплантат без батарей поможет врачам следить за сращением позвонков
Исследователи из Университета Питтсбурга создали инновационный имплантат, который генерирует энергию самостоятельно и передаёт данные о заживлении позвоночника без использования батарей и…
Created by: